Dešifrování a otevírání podaných nabídek (koncese)
Po uplynutí lhůty pro podání nabídek systém NEN v tabulce „Přehled podaných nabídek“ zobrazí tlačítko „Zahájit otevírání“.
Na obrázku níže je uveden příklad zadávacího postupu, kdy zadavatel zvolil jako první typ podání předběžné zájmy. V případě, že máte jako první typ podání žádostí o účast nebo předběžné nabídky, postupujte obdobně.

V případě, že v jednom zadávacím postupu zadáváte více částí veřejné zakázky, probíhá tento proces stejně, jako u veřejné zakázky, která není rozdělena na části. Pokud ve specifikaci zadávacího postupu máte nastavený na „fajfku” checkbox „Vyhrazení možnosti nastavení specifické lhůty na částech”, zahájíte otevírání až po rozkliknutí detailu konkrétní části. Ostatní procesy jsou totožné.
Nastavení parametrizace
Parametrizace otevírání je nastavení procesu otevírání a odšifrování podaní. Systém NEN vyžaduje její nastavení vždy, pokud jsou prostřednictvím systému NEN doručeny předběžné zájmy, žádosti o účast, předběžné nabídky, nabídky.
Parametrizaci otevírání lze měnit do doby, než zahájíte otevírání nabídek, poté již je možné provést jakoukoliv změnu jen za pomocí nestandardního stavu č. 48.
Po kliknutí na tlačítko „Zahájit otevírání“ se zobrazí formulář „Nastavení parametrizace“.
V bloku „Parametrizace otevírání podání“ nastavte minimální počet osob potřebný k otevření a odšifrování podání.
V tomto bloku se nachází checkboxy „Osoby oprávněné otevírat musí být jmenovány“ a „Osoby oprávněné odšifrovat musí být jmenovány“, které jsou defaultně nastaveny na „fajfku”. V bloku „Osoby oprávněné odšifrovat podání dodavatele“ a „Osoby oprávněné k otevírání podání dodavatele“ označte vybrané osoby „fajfkou” (nabízí se pouze uživatelé, kteří mají právo na daný zadávací postup).

Pokud nabízené checkboxy změníte na „křížek” systém NEN nezobrazí bloky se seznamem osob oprávněných k odšifrování a otevírání podání dodavatele.

U veřejných zakázek v režimu zákona systém NEN automaticky přednastaví minimální počet osob k otevření a odšifrování na 2. Pokud potřebujete provést odšifrování a otevření podání v jednom kroku, změňte počet na 1 a nastavte na „fajfku” checkbox „Odšifrování a otevření podání bude probíhat v jednom kroku“.

Parametrizaci otevírání potvrďte tlačítkem „Potvrdit parametrizaci“, které se nachází v pravém dolním rohu.

Parametrizaci otevírání můžete nastavit také v horní liště přes tlačítko „Správa VZ” → „Parametrizace otevírání”.
Odšifrování a otevření elektronických nabídek
Po nastavení parametrizace otevírání systém NEN v tabulce „Přehled podaných nabídek“ zobrazí tlačítko „Odšifrovat nabídky“ (první obrázek) nebo „Odšifrovat a otevřít nabídky” (jen v případě, pokud jste si nastavili, že odšifrování a otevírání bude probíhat v jednom kroku).


Zobrazí se okno „Crypto Native App NG”, kde zvolte jednu z nabízených možností:
a) soubor - z Vašeho počítače vyberte certifikát pro odšifrování a vložte heslo,
b) systémové úložiště - vyberte odpovídající certifikát pro odšifrování ze seznamu v úložišti (dle nastavení zabezpečení může být vyžadováno heslo).

Dešifrování zahajte stisknutím tlačítka „Dešifrovat“.

V případě úspěšného dešifrování systém NEN zobrazí informační hlášku.

Systém NEN v souladu s nastavenou parametrizací otevírání může zobrazit informaci, že odšifrování nabídek musí být iniciováno ještě jedním Uživatelem systému NEN. Do systému NEN se tedy přihlásí další Uživatel systému NEN, který byl také určen jako osoba oprávněná k odšifrování podání. Tento Uživatel systému NEN následně provede odšifrování nabídek způsobem popsaným výše.
V případě, že odšifrování a otevření nabídek neprobíhá v jednom kroku, systém NEN po odšifrování všech elektronických nabídek zobrazí tlačítko „Otevřít nabídky“.

Po odšifrování a otevření nabídek podaných prostřednictvím systému NEN se ve sloupci „Stav“ zobrazí informace „Otevřena“.

Změna hodnot nabídkového formuláře
Tento nestandardní stav je možné použít, pokud je potřeba upravit nabídkové hodnoty u nabídky podané prostřednictvím systému NEN, např. zadaná hodnota v systému NEN neodpovídá hodnotě v přiložených dokumentech. Změnou však nesmí dojít k porušení zákazu stanoveného v § 46 odst. 2 ZZVZ.
V přehledu podaných nabídek klikněte u nabídky, u které potřebujete provést změnu na ikonu „i”.

Zobrazí se formulář „Nabídka“, který je needitační. V horní liště stiskněte tlačítko „Změnit hodnoty nabídkového formuláře“.

Zobrazí se formulář „Úprava hodnot nabídkového formuláře“, ve kterém je nutné vyplnit pole „Odůvodnění provedení úpravy elektronického podání účastníka ze strany zadavatele“.
Tento úkon potvrďte tlačítkem „Spustit a vrátit se“, které se nachází v pravém dolním rohu.

Systém NEN po spuštění zaktivní formulář „Nabídka“. Po provedených změnách na formuláři je nutné v horní liště ukončit editaci pomocí tlačítka „Ukončení změny hodnot nabídkového formuláře“.

Původní nabídkové hodnoty zobrazíte stisknutím tlačítka „Hodnoty odeslané dodavatelem“, které se nachází v horní liště.

Na přehledu všech podaných nabídek systém NEN zobrazí informaci o spuštěném nestandardním stavu.

Evidence údajů k otevřené nabídce podané prostřednictvím systému NEN
Kliknutím na ikonu „i” zobrazte detail konkrétní nabídky.

Zobrazí se formulář „Nabídka“, který obsahuje několik bloků:
Informace k podání
V případě elektronického podání systém NEN automaticky předvyplní dodavatele, který učinil podání, a rovněž je předvyplněn datum a čas podání a otevření nabídky.

Kontrola požadavků dle § 109 odst. 2 ZZVZ
Systém NEN v případě elektronicky podaných nabídek automaticky kontroluje, zda byla nabídka doručena ve stanovené lhůtě, zda je autentická a zda s datovou zprávou obsahující nabídku nebylo před jejím otevřením manipulováno.

Evidence a kontrola hodnot podání
U každé nabídky musí být zaevidovány nabídkové hodnoty odpovídající číselně vyjádřitelným kritériím hodnocení.
Pokud byla nabídka podána elektronicky ve strukturované podobě, tzn. prostřednictvím Vámi připraveného nabídkového formuláře, systém NEN automaticky zobrazí nabídkové hodnoty v části „Nabídková cena“. Podoba formuláře „Nabídka” se může lišit v závislosti na specifikaci zadávacího postupu.

Pokud bylo v zadávacích podmínkách stanoveno, že jsou připuštěny varianty nabídky, u každé elektronicky podané nabídky se zobrazí, zda je podána ve variantách a kolik variant obsahuje. Každá záložka obsahuje jednu podanou variantu.

V případě, že jste si ve specifikaci zadávacího postupu nastavili na „fajfku” checkbox „Samostatné zpřístupnění nabídkové ceny nebo nákladů životního cyklu”, systém NEN v bloku „Evidence a kontrola hodnot podání” zobrazí pouze hodnoty u kritéria kvality. Otevírání částí nabídky s nabídkovou cenou nebo náklady životního cyklu umožní systém NEN až po ukončení hodnocení kritérií kvality.

Externí administrace
Pokud je podání za dodavatele učiněno jiným dodavatelem (externím administrátorem), v bloku „Externí administrace“ zvolte na „fajfku” checkbox „Externě administrované podání“. Následně vyplňte minimálně všechny povinné údaje o dodavateli, za kterého bylo podání provedeno.

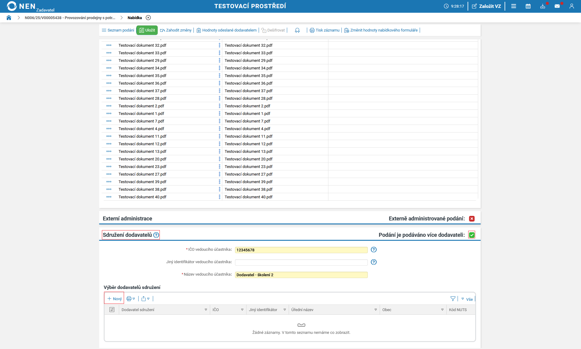
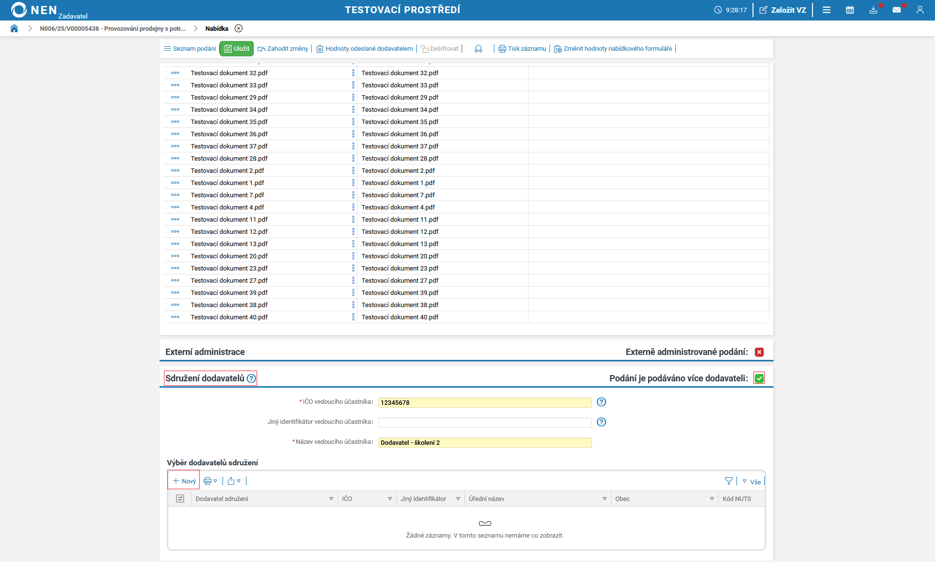
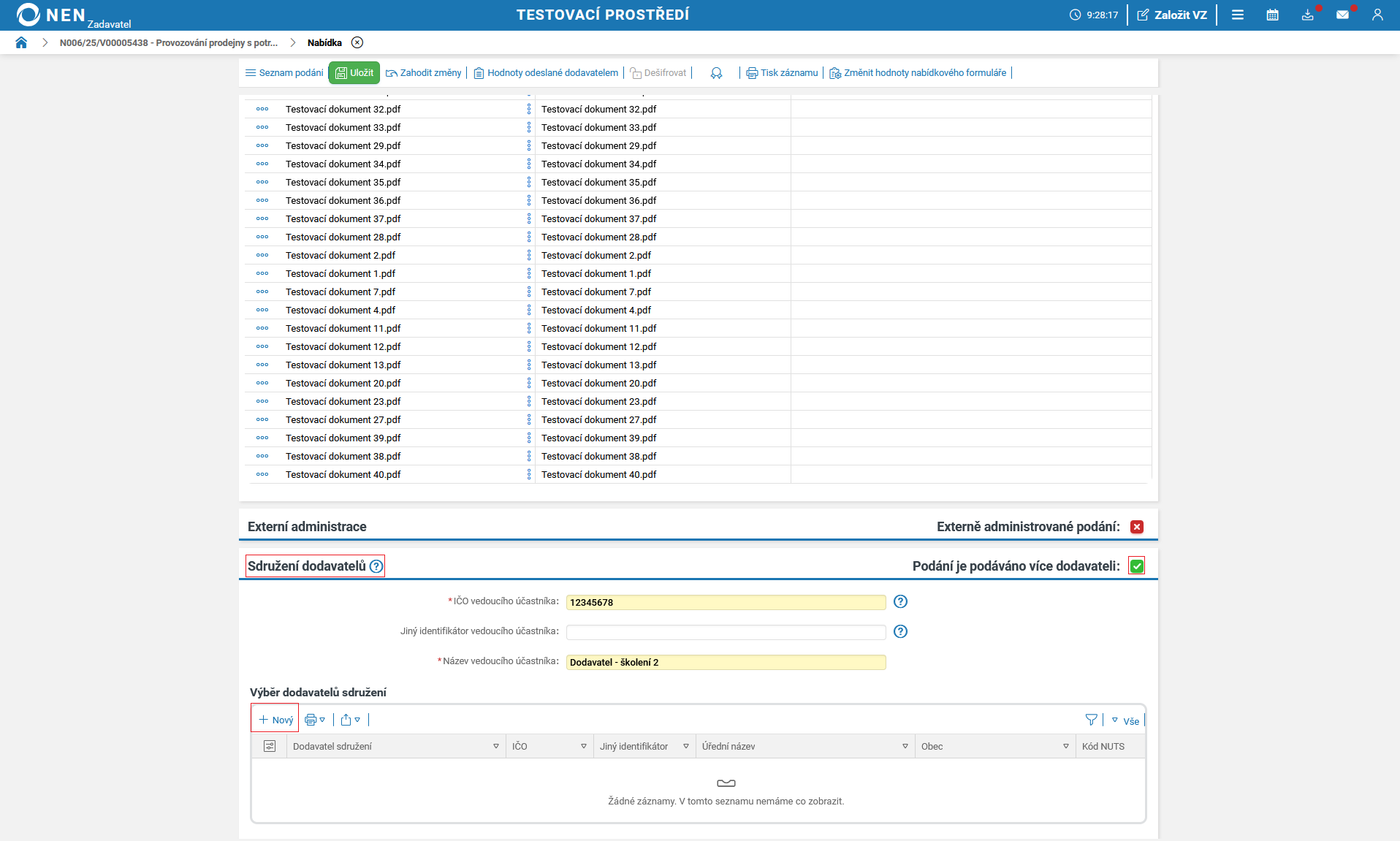
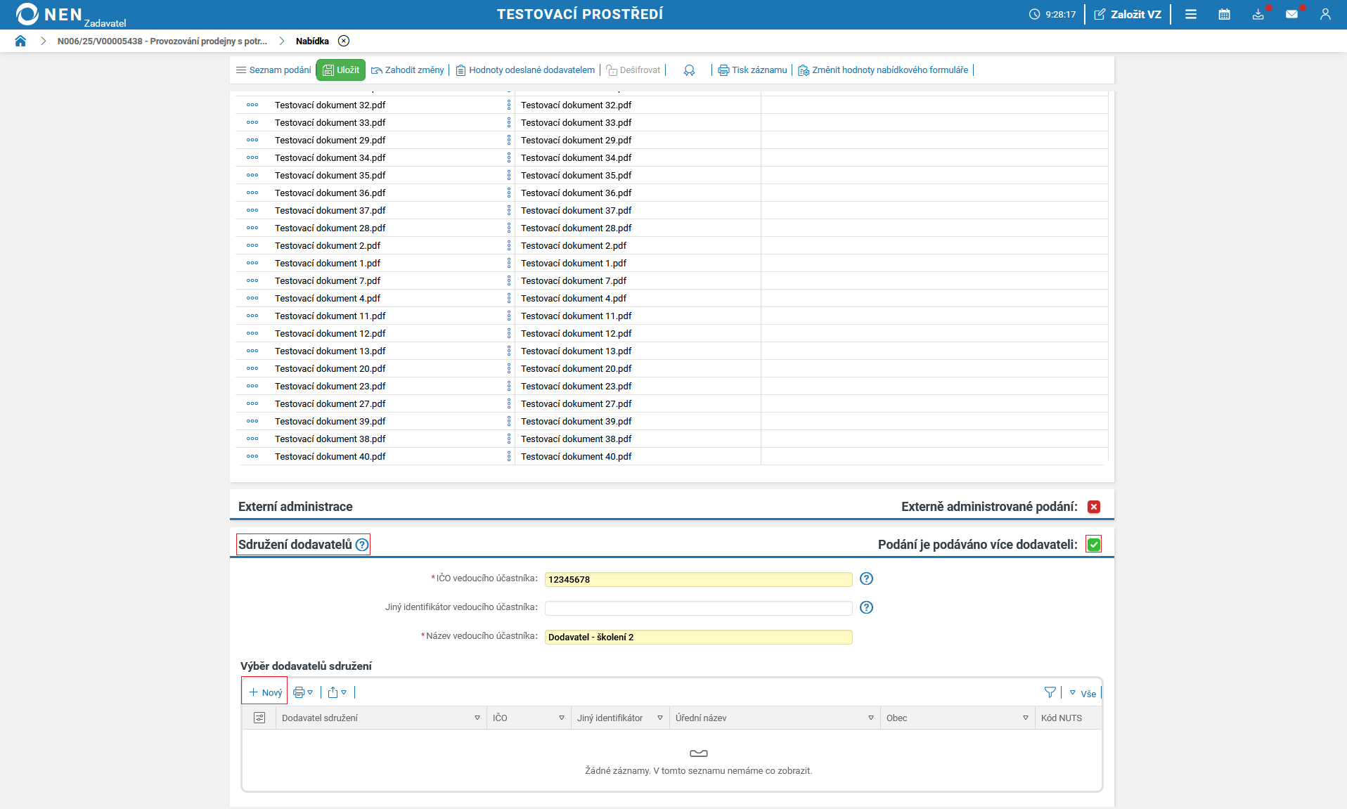
Sdružení dodavatelů
Pokud je nabídka podána více dodavateli, v bloku „Sdružení dodavatelů“ nastavte na „fajfku” checkbox „Podání je podáváno více dodavateli“. Systém NEN zobrazí registr dodavatelů, není-li dodavatel v seznamu uveden, proveďte předběžnou registraci dodavatele.
Dodavatel má možnost zadat tyto informace do systému NEN při vytváření nabídky. V takovém případě systém NEN automaticky nastaví tento checkbox na „fajfku” a zobrazí údaje vyplněné dodavatelem.

Evidence otevření nabídky podané mimo systém NEN
Kliknutím na ikonu „i” zobrazte detail konkrétní nabídky.

Zobrazí se formulář „Nabídka”. Zde vyplňte pole „Datum otevření”.

Po vyplnění pole „Datum otevření” systém NEN zobrazí bloky „Kontrola požadavků dle § 110 odst. 2 ZZVZ” a „Evidence a kontrola hodnot podání”.
V bloku „Kontrola požadavků dle § 110 odst. 2 ZZVZ” systém automaticky nastaví „fajfky” v nabízených checkboxech. V případě, že nabídka nesplňuje požadavek dle § 110 odst. 2 ZZVZ, změňte checkbox „Nabídka byla doručena v řádně uzavřené obálce označené názvem veřejné zakázky” na „křížek”.
V bloku „Evidence a kontrola hodnot podání” doplňte nabídkové hodnoty k jednotlivým kritériím (zobrazení tohoto bloku se můžu lišit v závislosti na specifikaci zadávacího postupu).

Po doplnění všech potřebných údajů nabídku uložte. Tlačítko „Uložit” se nachází v horní liště.

Sloučení nabídek
V případě kombinovaného podání (např. pokud bylo vyžadováno, aby doklady ke kvalifikaci byly zaslány listinně a zbytek nabídky elektronicky) Vám systém NEN umožní tato dvě podání sloučit v jednu nabídku.
V přehledu podaných nabídek klikněte u elektronicky podané nabídky, která byla podána i listinně, na ikonu „tří teček” a zvolte možnost „Sloučení nabídek“. Tuto akci můžete provést také na detailu konkrétní nabídky, kdy na formuláři „Nabídka“ systém NEN v horní liště zobrazí tlačítko „Sloučení podání“.

Zobrazí se formulář „Kombinované podání”, na kterém je nutné vybrat listinnou položku a uvést odůvodnění sloučení.
Tento úkon potvrďte tlačítkem „Sloučit“, které se nachází v pravém dolním rohu.

Označení nabídky jako nepodané
Funkcionalita slouží pro označení nabídky, která nebyla podána včas nebo způsobem stanoveným v zadávací dokumentaci (viz § 28 odst. 2 ZZVZ).
V přehledu podaných nabídek klikněte u nabídky, kterou chcete označit jako nepodanou, na ikonu „tří teček” a poté na „Označení nabídky jako nepodaná“.

Zobrazí se formulář „Označení podání jako nepodaného”. Zde vyplňte odůvodnění.
Tento úkon potvrďte tlačítkem „Potvrdit“, které se nachází v pravém dolním rohu.

Formulář se automaticky zavře a v přehledu podaných nabídek ve sloupci „Označena jako nepodaná“ se u příslušné nabídky zobrazí „fajfka”.

Defaultně se Vám nemusí zobrazovat všechny sloupce jako na obrázku výše. Nastavení sloupců závisí na nastavení konkrétního Uživatele systému NEN.
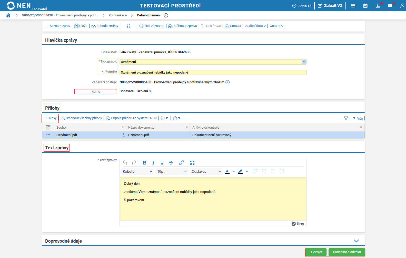
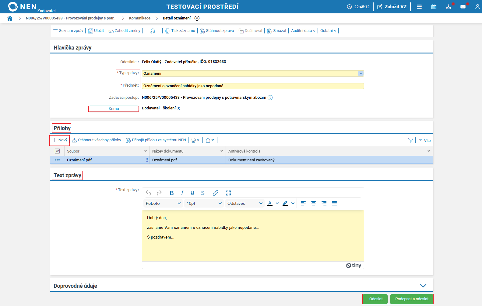
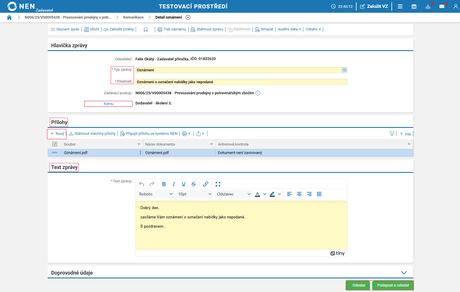
Pokud chcete informovat dodavatele o tom, že jeho nabídka nebyla podána způsobem uvedeným v zadávací dokumentaci, klikněte v horní liště na volbu „Komunikace” → „Komunikace s dodavatelem”.

Zobrazí se formulář „Komunikace“. Zde klikněte na tlačítko „Nový“.

V poli „Typ zprávy” zvolte „Oznámení” a vyplňte pole „Předmět”. Klikněte na tlačítko „Komu” a vyberte adresáta zprávy. Dále vyplňte „Text zprávy“.
V bloku „Přílohy“ lze pomocí tlačítka „Nový“ nahrát dokument s oznámením. Systém NEN také umožňuje vložení více souborů současně, a to označením takových souborů u Vás v počítači a přetažením do systému NEN na místo určené k nahrání dokumentů.
Oznámení můžete odeslat prostřednictvím tlačítka „Odeslat“ nebo „Podepsat a odeslat”, kdy Vás po jeho stisknutí systém NEN vyzve k vložení podpisového certifikátu. V tomto případě je nutné mít nainstalované doplňky pro podepisování (ke stažení zde).

V případě odeslání oznámení mimo systém NEN stiskněte tlačítko „Zaevidovat zprávu“ a danou skutečnost v systému NEN zaevidujte.
Označení nabídky jako nepodané se dá zrušit prostřednictvím nestandardního stavu č. 44.
Stáhnout nabídky
Systém NEN umožní stáhnout všechna podání dodavatelů v souboru typu ZIP. Soubor obsahuje vnitřně strukturovaný dokument s údaji o podaných nabídkách.
Pro stažení nabídek klikněte na tlačítko „Stáhnout nabídky“.

Po dokončení exportu systém NEN zobrazí na hlavní liště u ikony „Seznam generovaných dokumentů“ okno s přehledem a stavem jednotlivých exportů. Pro stažení souboru klikněte na odkaz uvedený u daného exportu.

Pro případ, že obsah nabídek bude v průběhu životního cyklu zakázky doplněn, bude i nadále umožněno vyvolat tlačítkem „Stáhnout nabídky“ nový export. Pokud bude k zadávacímu postupu existovat více exportů, budou všechny dostupné na formuláři „Dokumenty“.

Pokud přiložené soubory k nabídkám přesahují velikost 2 GB, automaticky jsou systémem NEN rozděleny do více souborů typu ZIP (zip.001, zip.002, zip.003 atd.). Zadavateli je umožněno nastavení omezení velikosti souborů (MB) přes dlaždici „Nastavení organizace“.

V takovém případě je nutné v sekci „Dokumenty“ stáhnout jednotlivé soubory typu ZIP do jedné složky. Postupně u každého dokumentu klikněte na ikonu „tří teček” a vyberte volbu „Stáhnout soubor“.

Jakmile budete mít stažené soubory (nabídky k postupu) v jedné složce, označte všechny tyto soubory a pravým tlačítkem myši vyberte možnost 7-Zip (pokud nemáte tento program k dispozici, kontaktujte Vaše IT oddělení nebo si daný program stáhněte a nainstalujte) a poté možnost rozbalit soubory, kde zvolte cestu, kam potřebujete nabídky uložit a potvrďte.
Rozbalení souborů je možné i přes program WinRAR.

Je nutné rozbalovat všechny soubory zároveň a nikoliv jednotlivě. Dané soubory nesmíte ani přejmenovávat.
Po rozbalení se zobrazí složka se staženými nabídkami.

Ukončení otevírání
Po otevření všech podaných nabídek klikněte v „Přehledu podaných nabídek“ na tlačítko „Ukončit otevírání“.
